Vụ ‘xây nhầm’ gần 50 căn nhà ở TP.HCM: Cơ quan công an vào cuộc điều tra
Ngày 12.11, cơ quan chức năng thuộc Công an TP.HCM đang vào cuộc xác minh và xử lý đơn phản ánh liên quan đến ông Trương Minh Ký (ngụ phường An Phú, TP.HCM) về việc gần 50 căn nhà được xây dựng trái phép trên thửa đất của ông tại phường Tân Khánh.
Theo nguồn tin của phóng viên báo Lao Động, các đơn vị nghiệp vụ Công an TP.HCM đã phối hợp cùng Công an phường Tân Khánh và các đơn vị liên quan tiến hành kiểm tra hiện trường, đo đạc và xác minh hiện trạng khu nhà đất. Cơ quan công an cũng làm việc với những người dân liên quan để thu thập thông tin, chứng cứ, phục vụ việc xác minh nội dung phản ánh của ông Ký.
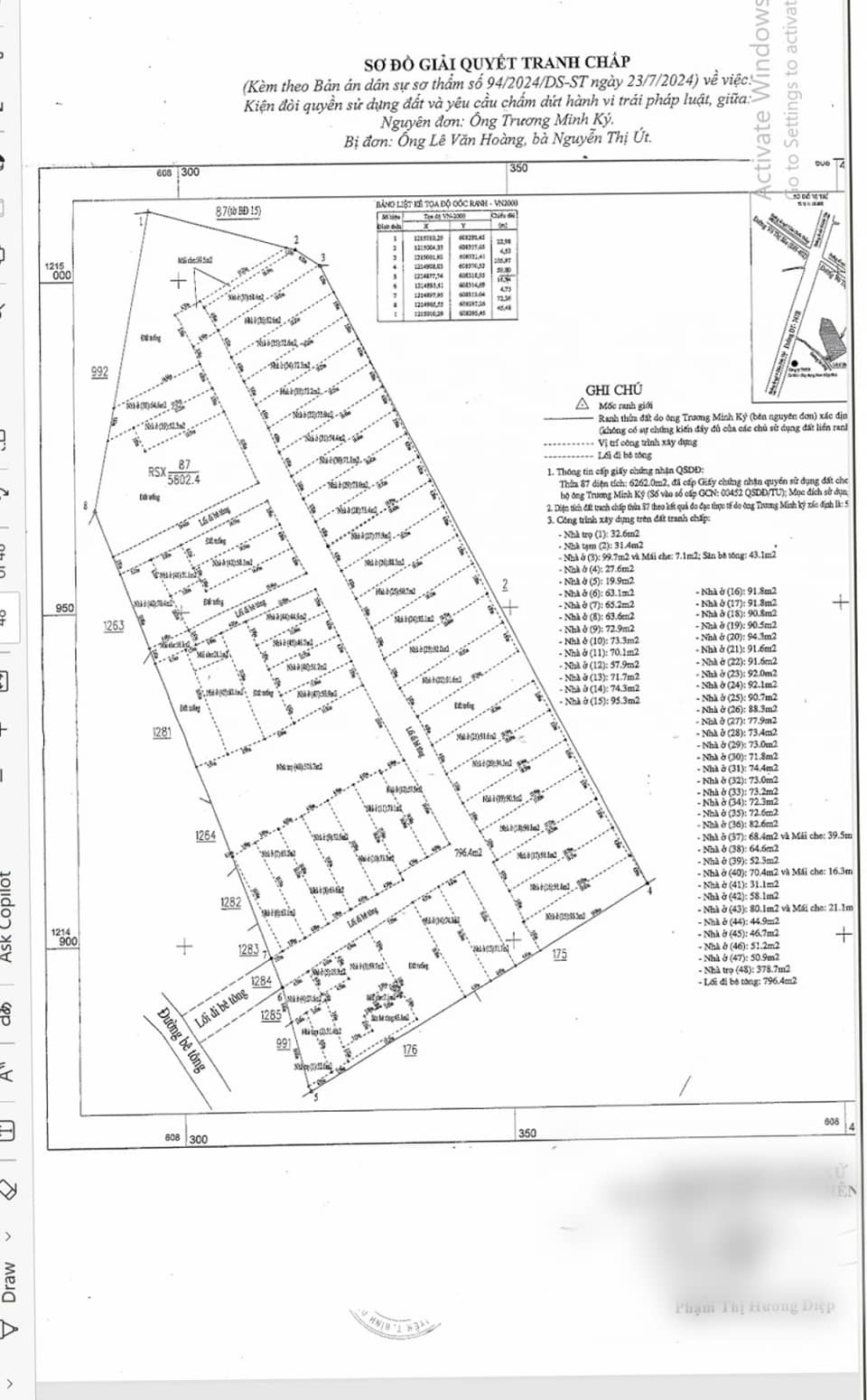
Đây là thửa đất trồng cây lâu năm số 87, rộng 5.802 m², đã được cấp giấy chứng nhận quyền sử dụng đất hợp pháp cho ông Ký từ năm 1999. Theo cáo trạng và hồ sơ vụ việc, từ năm 2017, ông Ký phát hiện ông L.V.H cùng một số người xây dựng trái phép nhà trên thửa đất của mình. Sau khi phản ánh và khởi kiện, TAND TP. Tân Uyên (cũ) từng buộc các bị đơn tháo dỡ công trình và trả lại đất cho ông Ký. Các cấp xét xử sau đó cũng bác đơn kháng cáo của bị đơn, đồng thời công nhận quyền sở hữu hợp pháp của ông Ký.
Tuy nhiên, các cá nhân liên quan không chấp hành, tiếp tục xây dựng hoàn thiện 47 căn nhà liền kề và 1 khu trọ để bán cho người dân. Trước tình hình này, cơ quan chức năng cấm giao dịch mua bán đất tại khu vực và đề nghị công an vào cuộc điều tra vì có dấu hiệu vi phạm pháp luật hình sự.
Trước đó, giữa tháng 5.2025, Cơ quan Cảnh sát điều tra Công an tỉnh Bình Dương (nay thuộc TP.HCM) đã gửi văn bản đề nghị UBND phường Tân Phước Khánh phối hợp cung cấp hồ sơ, tài liệu liên quan vụ việc có dấu hiệu lừa đảo chiếm đoạt tài sản liên quan đến ông L.V.H. Sau khi Bình Dương sáp nhập vào TP.HCM, vụ việc tạm lắng xuống, nhưng ông Trương Minh Ký tiếp tục gửi đơn phản ánh để đảm bảo quá trình giải quyết được thực hiện đầy đủ.
Hoạt động kiểm tra, xác minh hiện nay của Công an TP.HCM nhằm làm rõ hiện trạng, thu thập chứng cứ liên quan, đồng thời xử lý theo quy định pháp luật các hành vi xây dựng trái phép trên đất nông nghiệp, bảo vệ quyền lợi hợp pháp của người dân.
Bạn muốn trở thành VIP/PRO trên 24HMONEY?
Bấm vào đây để liên hệ 24HMoney ngay

Bàn tán về thị trường